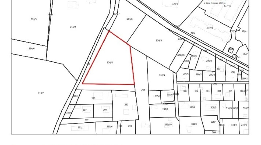
Ogłoszenie Wójta Gminy Stegna o przystąpieniu do sporządzania zmiany miejscowego planu zagospodarowania przestrzennego wsi Jantar dla terenu działek nr 102 oraz 634/6 obręb Jantar
Na podstawie art. 17 pkt 1 ustawy z dnia 27 marca 2003 r. o planowaniu i zagospodarowaniu przestrzennym (t.j. Dz. U. z 2020 r. poz. 293 ze zm.) oraz art. 54 ust. 2 i ust. 3 ustawy z dnia 3 października 2008 r. o udostępnianiu informacji o środowisku i jego ochronie, udziale społeczeństwa w ochronie środowiska oraz o ocenach oddziaływania na środowisko (t.j. Dz. U. z 2021 r. poz. 247) zawiadamiam o podjęciu przez Radę Gminy Stegna Uchwały Nr XXIII/226/2021 z dnia 5 marca 2021 r. w sprawie przystąpienia do sporządzania zmiany miejscowego planu zagospodarowania przestrzennego wsi Jantar dla terenu działek nr 102 oraz 634/6 obręb Jantar, oraz o przystąpieniu do przeprowadzenia strategicznej oceny oddziaływania na środowisko dla tego dokumentu.
Z treścią ww. Uchwały można zapoznać się na stronie Biuletynu Informacji Publicznej Urzędu Gminy Stegna:
Pełna treść ogłoszenia do pobrania (zakładka Akty prawne).
Zainteresowani mogą składać wnioski do wyżej wymienionego planu miejscowego. Wnioski mogą być wnoszone w formie papierowej do Wójta Gminy Stegna na adres: Urząd Gminy Stegna w Stegnie, ul. Gdańska 34, 82-103 Stegna lub w formie elektronicznej za pomocą środków komunikacji elektronicznej poprzez pocztę elektroniczną na adres: Ten adres pocztowy jest chroniony przed spamowaniem. Aby go zobaczyć, konieczne jest włączenie w przeglądarce obsługi JavaScript., lub za pomocą platformy ePUAP, z podaniem imienia i nazwiska lub nazwy oraz adresu zamieszkania albo siedziby, oznaczenia nieruchomości, której wniosek dotyczy, w terminie 21 dni od ukazania się ogłoszenia.
WÓJT GMINY STEGNA
/-/
EWA DĄBSKA











































